Editor's Picks
Plant Focus
Those growing and studying oaks will learn several facts about this group of plants fairly quickly. These will include the fact that oaks flower on the young shoots at the beginning of the growing season and have male and female flowers on separate inflorescences on the same shoot, the males at the base and the females towards the tip. Another important fact, and one that helps us distinguish species, is that some oaks are annual species, i.e., they produce their acorns within about six months of flowering, while others are biennial and the acorns develop in about 18 months, ripening the year after they flower.
It was therefore perhaps a little disconcerting to read the report by Vázquez Pardo (2015) that Quercus suber can have two cycles of flowering and fruiting, the acorns from these cycles taking different lengths of time to develop. Observations on oaks growing at the Botanic Garden of the University of Puebla, Mexico in 2024 show that this is not an isolated case.
Quercus ilex
This species grows well here and has occasionally produced acorns. This year the acorns on the normal first flush of growth formed but all cracked and aborted before they matured. However, at the same time, flowering was observed on shoots of the second flush in September. Some shoots produced male inflorescences while others produced females, but they were not seen on the same shoot. Francisco Vázquez (pers. comm. 2024) tells me that he has seen this on Q. ilex in Spain, but acorns rarely develop. It is not certain if any acorns will develop here (Figs. 1 and 2). The female inflorescences on the second growth were up to 30 mm long, which is within the accepted range, but with up to 9 flowers compared to the normal maximum of 3 (Coombes & Cameron 2021).


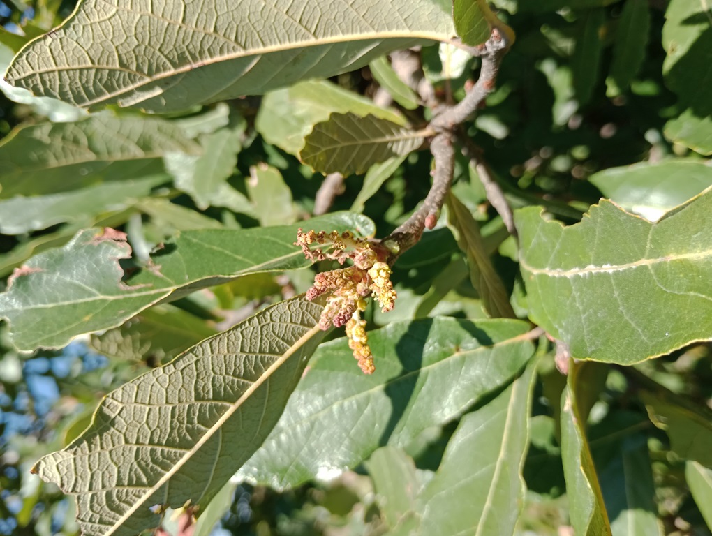
Quercus obtusata
In November 2024 this species was producing vigorous second growths. Some of these had female inflorescences to 16 cm long with up to 8 flowers. According to Valencia et al. (2017) the female inflorescence in this species is normally up to 30 mm long with up to 5 fruits. Others, just starting, showed male inflorescences. As in Q. ilex, male and female flowers were not seen on the same shoot and it is currently uncertain if any acorns will develop (Figs. 3 and 4).


Quercus “Autopista”
While the identity of this plant is still uncertain, it appears to be very close to Q. miquihuanensis, although the populations are about 700 km apart. Unfortunately, we do not have mature plants of Q. miquihuanensis and cannot compare them in cultivation yet, so it is not certain whether that species can behave the same. Many of our plants of “Autopista” started to flower on second growths in August 2024, mostly producing male and female inflorescences on different shoots. The female inflorescence was up to 8 cm long with as many as 15 flowers. Observations on this in the garden in Puebla and at Arboretum des Pouyouleix, France, show that the female inflorescence is normally very similar to that of Q. miquihuanensis with a very short peduncle of 10 mm or less and only one or two flowers. One inflorescence on the second growth in Puebla even showed a nearly ripe acorn in early December, meaning that it ripened within a few months, although this plant is normally biennial. The acorn was fully ripe by early January 2025. Perhaps even stranger is that some inflorescences showed both male and female flowers (Figs. 5-8). Some plants were producing further inflorescences in January 2025 but it is uncertain if these are late or early.




In the first week of February 2025, when some other species had started to produce their first growths, the female inflorescences of Q. ilex had fallen without the acorns developing. One female inflorescence remained on Q. obtusata while Q. “Autopista” continued to grow, flower and ripen acorns.
The reason for these unusual occurrences is uncertain, but they may be related to the very hot and dry springs we have experienced recently and that may have affected flowering and fruiting in some species. Their significance is also uncertain, but it is interesting to note that the flowering time of oaks is not fixed, with the first flowering occurring at a time of drought stress and the second during the rainy season. Could this be an evolutionary adaptation? If oaks from areas with dry winters could flower in autumn or winter and produce acorns just before the rains start in late spring or early summer it would be a significant advantage if climate change makes the areas where they grow warmer and drier.
Interestingly, flowering on the second growth has been observed elsewhere in Fagaceae. In China these are referred to as “autumn shoots” and Min Deng (pers. comm. 2024) tells me that “This phenomenon is quite common in Lithocarpus and Castanopsis, while Castanea can occasionally exhibit a second flowering season in winter. However, it is typically observed in only a few individuals.” In oaks, she states that “winter flowering has been detected in a limited number of species, such as Quercus aliena.”
Some of the features noticed on second growths may be reported here for the first time. These include the production of male and female inflorescences on separate shoots, the larger female inflorescences, the occurrence of male and female flowers on the same inflorescence, and the ripening of acorns of a biennial species within a few months of flowering. I would therefore urge those with oak collections to observe their plants closely, because surely these phenomena can be found elsewhere. As second growths are very common in oaks, they may not be restricted to tropical areas. Oaks still have a lot to teach us and more observations may help to find out how and why these strange phenomena are occurring.
Works cited
Coombes, A., and R. Cameron. 2021. "Quercus ilex." Trees and Shrubs Online. [link]
Valencia-A., S., G. Flores-Franco, J. Jiménez-Ramírez, and M. Mora-Jarvio. 2017. Distribution and Diversity of Fagaceae in Hidalgo, Mexico. Botanical Sciences 95 (4): 660–721 [link]
Vázquez Pardo, F. 2015. "For Acorns, Size Matters—and So Does Shape." International Oak Society. [link]
Editor's note: IOS members are encouraged to share their observations or comments below. If you are a member, remember to log in with your username and password in order to view comments or add your own.You can add images with your comments. If you have any questions about adding comments or images, please write to website@internationaloaksociety.orgorg












